
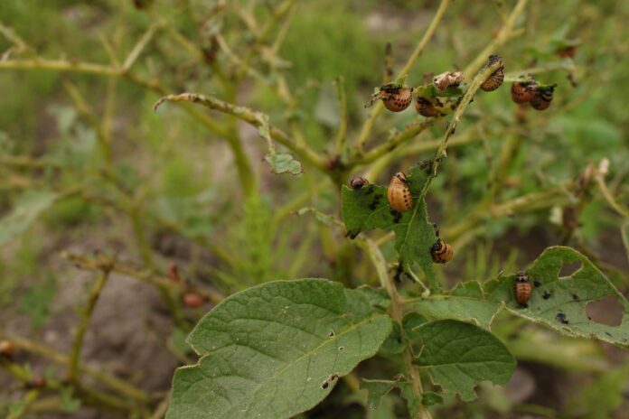
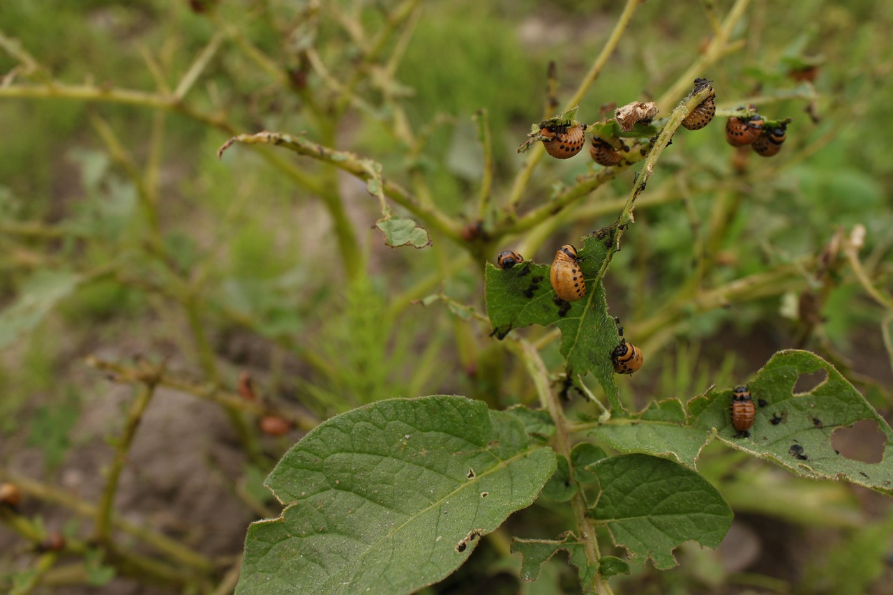
Jeśli istnieje jakiś szkodnik, który spędza sen z oczu ogrodnikom, to jest nim niewątpliwie stonka ziemniaczana. Pomimo swojej nazwy, nie żeruje tylko na ziemniakach; potrafi też całkowicie obgryźć młode sadzonki pomidorów czy bakłażanów.
Stonka wydaje się być stworzeniem nielogicznym z biologicznego punktu widzenia. Większość szkodników stara się, aby roślina, na której żerują, została jak najdłużej przy życiu, żeby nie pozbawiać się na własne życzenie źródła pożywienia. Ona natomiast potrafi w dobę obgryźć całą masę zieloną na roślinie, nie pozostawiając jej żadnych szans na zregenerowanie się. Właśnie ta obserwacja sprawiła, że jestem na stonkę taka zawzięta.
Do walki z nią nie stosuję jednej, a wiązkę metod. Zdaję sobie też sprawę, że większość z nich to nie są rozwiązania dla upraw wielohektarowych, ale dla ogródków z kilkoma/kilkunastoma rządkami ziemniaków powinny być absolutnie wystarczające.
Pierwszą i najważniejszą rzeczą jest zmianowanie. Gdy ktoś sadzi ziemniaki rok po roku na tym samym stanowisku, to niech potem się nie dziwi, że ma wysyp stonki. Zimuje ona w ziemi, a gdy z niej wyjdzie, a ziemniaki będą dokładnie w tym samym miejscu, to bez trudu zostaną one przez nią namierzone. Praktycznie potknęliśmy je jej pod nos. Zmianowanie jest ważne również z innego powodu. W ziemi, oprócz stonki, mogą też znajdować się przetrwalniki zarazy ziemniaczanej. Odcinając je od karmiciela, jakim jest ziemniak, ale też inne psiankowate, np. pomidor, utrudniamy im możliwość rozprzestrzeniania się.
W przypadku stonki trzeba też pamiętać, że prawdziwe szkody wyrządza nie dorosły osobnik, a larwy. Dlatego ważne jest, aby już od maja kontrolować spodnie strony liści i wypatrywać małych, żółtych kuleczek, i je niszczyć. Jeśli tego nie zrobimy, to po dwóch tygodniach od złożenia jaj wyklują się z nich żarłoczne brązowe larwy. I wtedy na dobre zacznie się nasz problem.
Ale stonka nie musi koniecznie wyjść u nas z ziemi, aby znaleźć się na naszych ziemniakach. To chrząszcz latający i może przenosić się na znaczne odległości. Dlatego warto utrudnić jej znalezienie naszych upraw poprzez maskowanie ich zapachu. Do tego celu nadaje się piołun. To metoda naszych babć i dziadków, zaskakująco skuteczna i warta przywrócenia. Można go sadzić wokół naszego zagonu ziemniaczanego, ale ja też go zrywam, tnę i okładam nim moje sadzonki. Nie daje 100% gwarancji, że do końca sezonu nie zobaczymy stonki, zwłaszcza gdy ziemniaki się już rozrosną, ale jest jej znacząco i widocznie mniej, a dużo łatwiej jest wyłapać 10 chrząszczy niż 100.
Do maskowania ziemniaków podobno nadaje się także gorczyca, ale ja osobiście jeszcze tego nie próbowałam; to informacja, którą mam z tzw. drugiej ręki. Gorczycę wysiewa się wtedy w tzw. międzyrzędziach i to ma trzymać stonkę, ale także drutowce, z dala od naszych ziemniaków. Ja gorczycy używam do innego celu – zawsze stosuję ją jako poplon na zagonie, a wiąże się to z moją chęcią utrudniania życia przeróżnej maści grzybom, które lubią zostać w ziemi po ziemniakach.
Dobrym sposobem na niedopuszczenie stonki do naszych upraw jest także stosowanie fizycznej bariery, jaką jest chociażby biała agrowłóknina, ale ją w miesiącach letnich warto byłoby zstąpić gęstą siatką albo firanką, żeby nie „zaparzyć” naszych roślin i zapewnić im lepszą cyrkulację powietrza.
Kiedy te wszystkie metody zawiodą, wtedy trzeba będzie sięgnąć po oprysk i tu ponownie polecam miksturę z oleju roślinnego, wody i mydła potasowego. Nie jest ona skuteczna w przypadku dorosłych osobników, ale larw pozbędziemy się dzięki niej na pewno.
Stonka to niewątpliwie trudny przeciwnik. W idealnym świecie każdy z nas miałby hodowlę bażantów (one bardzo chętnie uwzględniają ją w swoim menu) przy zagonie ziemniaczanym, ale zakładam, że niewielu z nas ją faktycznie posiada, więc trzeba z nią wojować na wszystkie możliwe sposoby, a warto sięgać po te ekologiczne, bo chemiczne wcale w jej przypadku nie są takie skuteczne. Gardeninka







![Strażacy z całej Lubelszczyzny świętowali w Krasnymstawie [GALERIA]](https://www.nowytydzien.pl/wp-content/uploads/2026/05/strazacy-z-calej-lubelszczyzny-swietowali-w-krasnymstawie-5-218x150.jpg)




![Strażackie święto w pocie czoła – powiat włodawski [GALERIA]](https://www.nowytydzien.pl/wp-content/uploads/2026/05/hansk-strazacy-4-kopia-218x150.jpg)











![Strażacy z całej Lubelszczyzny świętowali w Krasnymstawie [GALERIA]](https://www.nowytydzien.pl/wp-content/uploads/2026/05/strazacy-z-calej-lubelszczyzny-swietowali-w-krasnymstawie-5-324x400.jpg)



